Auteur : myster31 le 16/02/2013 21:16:04
n°110565R0 - Ma première trouvaille en or ! |
 Ã tous,
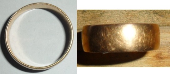
J'ai eu la chance de trouver en toute bordure d'un labours, cette alliance pour homme en or 18 carats qui pèse 8 grammes.
Cela m'a bien fait plaisir, voire bizarre, car j'avais du mal à croire ce qu'il m'arrivait. L'or, c'est quand même quelque chose !
J'avais décidé de faire la toute bordure du champ car l'agriculteur m'avait dit que ce champ avait déjà été prospecté par d'autres.
Sortie d'un bon 40 cm de profondeur. Un son faible mais propre et net avec le déus.
La forme d'anneau augmente la conductivité d'un métal. Et pour ceux qui ont autre chose qu'un déus, vous inquiétez pas, ça marche aussi. 
Je vous souhaite à tous de trouver un peu de ce noble métal. 
|
|
| |
Auteur : linoutcha le 16/02/2013 21:42:30
n°110565R1 - bravo |
|
| |
Auteur : myster31 le 16/02/2013 21:54:45
n°110565R2 - ... |
 linoutcha,
Merci !
Comment savoir... Un chasseur, un agriculteur, un mari batifolant avec sa maîtresse ?
En tous cas, c'est pour moi un gros coup de bol quand on connait la faible probabilité de trouver ça.
|
|
| |
Auteur : kikou67 le 16/02/2013 22:18:05
n°110565R3 - bravo ! |
|
| |
Auteur : myster31 le 16/02/2013 22:54:53
n°110565R4 - ... |
|
| |
Auteur : myster31 le 16/02/2013 22:55:59
n°110565R5 - ... |
Merci kikou (j'oubliais)
|
|
| |
Auteur : normandie le 17/02/2013 06:42:43
n°110565R6 - bravo |
bravo myster
c'est souvent milieu de nul part !!!
|
|
| |
Auteur : the Rodder's le 17/02/2013 06:53:35
n°110565R7 - . |
|
| |
Auteur : myster31 le 17/02/2013 13:08:55
n°110565R8 - ... |
 et merci normandie et the rodder's,
Je suis quand même passé 3 fois à l'endroit où elle se trouvait avant de la capter. Au bord de ce labours et à cet endroit même, il y'a un beau vieux chêne et j'ai insisté car j'avais une intuition.
Par contre, pour le reste du champs, à part deux drachmes gauloises fourrée en très mauvais état, je n'y trouve rien, mais y'a 15 hectares alors je continu. Comme je sais que d'autres prospecteurs sont passé avant moi, je vais récupérer les miettes.
Cela dit, la prospection c'est surtout un moment de détente et une part de rêve.
Bon dimanche !
|
|
| |
Auteur : Leladaman le 17/02/2013 13:41:30
n°110565R9 - Joli |
 félicitations!!!
|
|
| |
Auteur : myster31 le 17/02/2013 13:45:52
n°110565R10 - ... |
|
| |
Auteur : lupus albinos le 17/02/2013 13:47:19
n°110565R11 - ... |
|
| |
Auteur : romaint31 le 17/02/2013 15:05:51
n°110565R12 - ... |
|
| |
Auteur : myster31 le 17/02/2013 19:22:55
n°110565R13 - ... |
|
| |
Auteur : priio le 17/02/2013 20:02:11
n°110565R14 - re |
et voilà ,il fallait s'y attendre...:
aprés avoir fait(tenté, ) le kéké sur la plage(wayfahrer,deux aérosols 'axe',le string léopard,et la chaine en or à gros maillon..),notre Mister national,dépité ,a fini par nous déballer sa poëlle,et là ,zeu coup de choune de la mort qui tue,il finit par rentabiliser sa virée sur le sable!!!  
bon,la prochaine fois,promis, tu poëlles en forêt,hein???
IO
|
|
| |
Auteur : diplo35 le 17/02/2013 20:25:41
n°110565R15 - Bonjour et bravo, |
jolie alliance! il faut trouver l'épouse en or maintenant...
-il m'est arrivé un peu la même chose aujourd'hui,champs déjà fait,un bel arbre,une intuition et là ! LE SON, faible mais propre, et voilà la bague que j'ai sorti à 30cm de profondeur..............
Dip
|
|
| |
Auteur : Augraiduvent le 17/02/2013 20:35:25
n°110565R16 - : |
|
| |
Auteur : myster31 le 17/02/2013 21:43:11
n°110565R17 - ... |
|
| |